El 9 de febrero de 2011 se formalizó entre la Dirección General de Sostenibilidad de la Costa y el Mar y la entidad pública Puertos de Galicia la ampliación de adscripción de terrenos y lámina de agua en el puerto de Santo Adrán de Cobres.
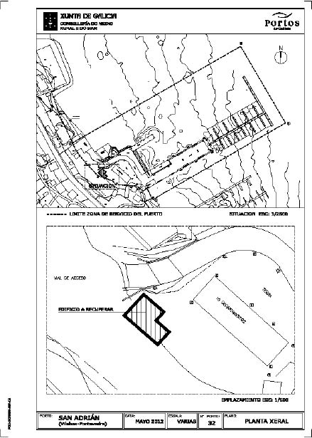
Dentro de la superficie de tierra adscrita se advierte la existencia de la edificación que se refleja en plano anexo, sobre la que no existe constancia de título habilitante alguno que autorice la ocupación.
Solicitada información al Servicio Provincial de Costas de Pontevedra y a la Autoridad Portuaria de Vigo, resulta que ninguna de esas administraciones posee documentación relativa a esta edificación.
Por lo expuesto, de acuerdo con lo establecido en al artículo 10 de la Ley 22/1988, de costas, en los artículos 113, 114 y 123 de la Ley 5/2011, del patrimonio de la Comunidad Autónoma de Galicia y en el artículo 31 del Decreto 227/1995, que aprueba el reglamento de la entidad pública Puertos de Galicia, mediante la publicación de la presente cédula en el Diario Oficial de Galicia y exposición en el tablón de edictos del Ayuntamiento de Vilaboa, se notifica a todas aquellas personas que puedan acreditar documentalmente la condición de interesadas en esta edificación el inicio de procedimiento de recuperación de oficio de la posesión.
En su virtud se otorga trámite de audiencia por un plazo máximo de 15 días hábiles a contar desde la publicación de la presente cédula en el Diario Oficial de Galicia o de su exposición en el tablón de edictos del Ayuntamiento de Vilaboa, durante el que podrán formularse alegaciones y presentarse los documentos o justificaciones que se estimen pertinentes.
La instrucción del presente procedimiento recae en el jefe de la División Jurídica de Puertos de Galicia Jesús Javier Fernández Barro, siendo su régimen de abstención y recusación el previsto en los artículos 28 y 29 de la Ley 30/1992, de régimen jurídico de las administraciones públicas y del procedimiento administrativo común.
De acuerdo con lo dispuesto en el artículo 114 de la Ley 5/2011, de patrimonio de la Comunidad Autónoma de Galicia, la competencia para la resolución de este procedimiento corresponde a la Presidencia del Consejo de Administración de la entidad pública Puertos de Galicia.
Contra el presente acto administrativo de iniciación no se admitirán acciones interdictales o para la tutela sumaria de la posesión de las previstas en la Ley de enjuiciamiento civil.
Y para que conste y sirva de notificación, y en cumplimiento de lo dispuesto en el artículo 59.4 de la Ley 30/1992, de 26 de noviembre, de régimen jurídico de las administraciones públicas y del procedimiento administrativo común, expido, firmo y sello la presente cédula.
Santiago de Compostela, 22 de mayo de 2012.
José Juan Durán Hermida
Presidente de Puertos de Galicia

