O 9 de febreiro de 2011 formalizouse entre a Dirección Xeral de Sostenibilidade da Costa e o Mar e a entidade pública Portos de Galicia a ampliación de adscrición de terreos e lámina de auga no porto de Santo Adrán de Cobres.
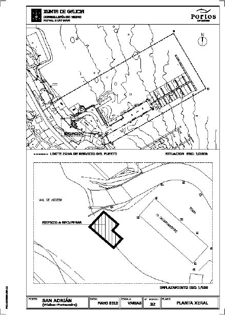
Dentro da superficie de terra adscrita advírtese a existencia da edificación que se reflicte en plano anexo, sobre a cal non existe constancia de ningún título habilitante que autorice a ocupación.
Solicitada información ao Servizo Provincial de Costas de Pontevedra e á Autoridade Portuaria de Vigo, resulta que ningunha desas administracións posúe documentación relativa a esta edificación.
Polo exposto, de acordo co establecido no artigo 10 da Lei 22/1988, de costas, nos artigos 113, 114 e 123 da Lei 5/2011, de patrimonio da Comunidade Autónoma de Galicia, e no artigo 31 do Decreto 227/1995, que aproba o regulamento da entidade pública Portos de Galicia, mediante a publicación da presente cédula no Diario Oficial de Galicia e exposición no taboleiro de edictos do Concello de Vilaboa, notifícase a todas aquelas persoas que poidan acreditar documentalmente a condición de interesadas nesta edificación o inicio de procedemento de recuperación de oficio da posesión.
Na súa virtude outórgase trámite de audiencia por un prazo máximo de 15 días hábiles contado desde a publicación da presente cédula no Diario Oficial de Galicia ou da súa exposición no taboleiro de edictos do Concello de Vilaboa, durante o cal poderán formularse alegacions e presentarse os documentos ou xustificacións que se estimen pertinentes.
A instrución do presente procedemento recae no xefe da División Xurídica de Portos de Galicia, Jesús Javier Fernández Barro. O seu réxime de abstención e recusación é o previsto nos artigos 28 e 29 da Lei 30/1992, de réxime xurídico das administracións públicas e do procedemento administrativo común.
De acordo co disposto no artigo 114 da Lei 5/2011, de patrimonio da Comunidade Autónoma de Galicia, a competencia para a resolución deste procedemento corresponde á Presidencia do Consello de Administración da entidade pública Portos de Galicia.
Contra o presente acto administrativo de iniciación non se admitirán accións interditais ou para a tutela sumaria da posesión das previstas na Lei de axuizamento civil.
E para que conste e lles sirva de notificación, e en cumprimento do disposto no artigo 59.4 da Lei 30/1992, do 26 de novembro, de réxime xurídico das administracións públicas e do procedemento administrativo común, expido, asino e selo a presente cédula.
Santiago de Compostela, 22 de maio de 2012.
José Juan Durán Hermida
Presidente de Portos de Galicia

