El Pleno do Ayuntamiento, en sesión de 9 de febrero de 2015, acordó:
«Primero. Aprobar inicialmente la modificación puntual número 10 del PGOM de Vigo, en el ámbito de la APR A-4-09 Calvario 6, en ejecución de la sentencia de 21.2.2013 del TSJG V.1, formulada por los servicios técnico-jurídicos de la Gerencia Municipal de Urbanismo en octubre de 2014, en cumplimiento de la Resolución de la Vicepresidenta de la Gerencia Municipal de Urbanismo del día 23.10.2013.
Segundo. Abrir un trámite de información pública durante un plazo de dos (2) meses, mediante anuncio que se publicará en el Diario Oficial de Galicia y en dos (2) de los periódicos de mayor difusión de la provincia. De forma simultánea y durante el mismo plazo, se dará audiencia a los ayuntamientos limítrofes.
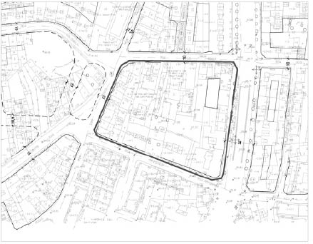
Tercero. A los efectos del artículo 77.2 de la Louga, determinar expresamente que el ámbito afectado por la suspensión de licencias se corresponde con la couzada comprendida entre la calle San Roque, Gregorio Espino y Ruiseñor, con los siguientes límites: norte y oeste, calle San Roque (entre los número 96 a 162.A); sur, calle Ruiseñor (entre los números. 1 y el 15.A) y este: avenida de Gregorio Espino (entre los números 18 y 34); y que se refleja en el plano de delimitación que figura en la memoria de esta modificación puntual, si bien podrán concederse aquellas licencias basadas en el régimen vigente que respeten las determinaciones del nuevo replanteo, en atención a lo dispuesto en el artículo 120.1 del RPU.
Cuarto. Ordenar la publicación del presente acuerdo, así como de la documentación técnica conformante de la modificación puntual inicialmente aprobada, en la web del Ayuntamiento de Vigo.
Quinto. Dar traslado del presente acuerdo a la Asesoría Jurídica para su conocimientos y efectos oportunos.
Abrése un trámite de información pública durante un plazo de dos (2) meses, mediante anuncio que se publicará en el Diario Oficial de Galicia y en dos (2) de los periódicos de mayor difusión de la provincia. De forma simultánea y durante el mismo plazo, se dará audiencia a los ayuntamientos limítrofes.
La documentación del presente expediente se encuentra a disposición del público en general en la oficina de Información Urbanística, en la planta baja de la Gerencia.
Vigo, 17 de febrero de 2015
(Resolución de 8.2.2013)
María del Carmen Silva Rego
Vicepresidenta de la Gerencia Municipal de Urbanismo
ANEXO
