O Pleno da Câmara municipal, em sessão de 9 de fevereiro de 2015, acordou:
«Primeiro. Aprovar inicialmente a modificação pontual número 10 do PXOM de Vigo, no âmbito da APR A-4-09 Calvario 6, em execução da sentença de 21.2.2013 do TSXG V.1, formulada pelos serviços técnico-jurídicos da Gerência Autárquica de Urbanismo em outubro de 2014, em cumprimento da Resolução da Vice-presidenta da Gerência Autárquica de Urbanismo do dia 23.10.2013.
Segundo. Abrir um trâmite de informação pública durante um prazo de dois (2) meses, mediante anúncio que se publicará no Diário Oficial da Galiza e em dois (2) dos periódicos de maior difusão da província. Simultaneamente e durante o mesmo prazo, se dará audiência às câmaras municipais limítrofes.
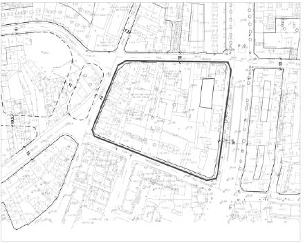
Terceiro. Para os efeitos do artigo 77.2 da Louga, determinar expressamente que o âmbito afectado pela suspensão de licenças corresponde-se com a couzada compreendida entre a rua São Roque, Gregorio Despi-o e Reiseñor, com os seguintes limites: norte e oeste, rua São Roque (entre os número 96 a 162.A); sul, rua Reiseñor (entre os números. 1 e o 15.A) e lês-te: avenida de Gregorio Despi-o (entre os números 18 e 34); e que se reflecte no plano de demarcação que figura na memória desta modificação pontual, se bem que poderão conceder-se aquelas licenças baseadas no regime vigente que respeitem as determinações do novo planeamento, em atenção ao disposto no artigo 120.1 do RPU.
Quarto. Ordenar a publicação do presente acordo, assim como da documentação técnica conformante da modificação pontual inicialmente aprovada, na web da Câmara municipal de Vigo.
Quinto. Dar deslocação deste acordo à Assessoria Jurídica para o seu conhecimento e efeitos oportunos.
Abrése um trâmite de informação pública durante um prazo de dois (2) meses, mediante anúncio que se publicará no Diário Oficial da Galiza e em dois (2) dos jornais de maior difusão da província. Simultaneamente e durante o mesmo prazo, dar-se-á audiência às câmaras municipais limítrofes.
A documentação do presente expediente encontra-se ao dispor do público em geral no escritório de Informação Urbanística, na planta baixa da Gerência.
Vigo, 17 de fevereiro de 2015
(Resolução do 8.2.2013)
María dele Carmen Silva Rego
Vice-presidência da Gerência Autárquica de Urbanismo
anexo

