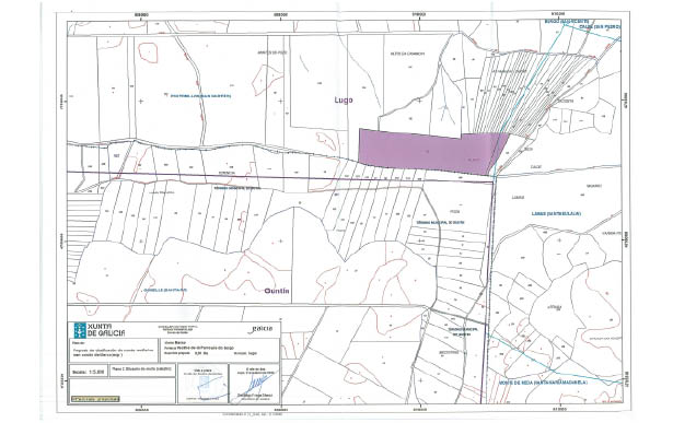
Para os efectos previstos no artigo 28 do regulamento para a execución da Lei 13/1989, do 10 de outubro, de montes veciñais en man común, o Decreto 260/1992, do 4 de setembro, de conformidade co disposto no artigo 45.1 da Lei 39/2015, do 1 de outubro, do procedemento administrativo común das administracións públicas, faise público que o Xurado Provincial de Montes Veciñais en Man Común de Lugo, na sesión que tivo lugar o 11.1.2021 na sala de xuntas da Xefatura Territorial da Consellería de Presidencia, Administracións Públicas e Xustiza, baixo a presidencia de María Olga Iglesias Fontal, e coa asistencia dos vogais Miguel Ángel Cela González, Mª Esmeralda Mouriz Fernández e Antonio José López-Acuña Herrero, e da secretaria Lucía Belver Quiroga, ditou a resolución de clasificar como veciñal en man común o seguinte monte:
– Nome: Marco.
– Pertenza: Veciños da parroquia do Burgo.
– Parroquia: O Burgo.
– Concello: Lugo.
– Superficie: 6,60 hectáreas.
Na seguinte táboa indícanse as referencias catastrais das parcelas clasificadas así como das estremeiras. O plano que figura no anexo, ao final deste anuncio, facilita a súa localización.
|
Parcelas clasificadas |
Parcelas estremeiras |
|
|
27900A19400043 |
Norte |
27900G50200134 27900G50200133 27900G50200132 27900A19400050 27900A19400051 27900A19400060 27900A19400061 |
|
27900A19400062 27900A19400063 27900A19400064 27900A19400065 27900A19400066 27900A19400067 27900A19400068 27900A19400069 27900A19400070 |
||
|
Leste |
27900A19400092 |
|
|
Sur |
27023A08100100 27023A08100109 27023A08100118 27023A08100119 27023A08100120 27023A08100121 27023A08100122 27023A08100123 |
|
|
Oeste |
27900G50200134 |
|
|
27900A19400092 |
Norte |
27900A19400071 27900A19400072 27900A19400074 27900A19400076 27900A19400078 |
|
Leste |
27900A19400093 |
|
|
Sur |
27023A08100100 |
|
|
Oeste |
27900A19400043 |
|
Contra esta resolución, desde o día seguinte ao da súa publicación no Diario Oficial de Galicia, poderá interpoñerse recurso potestativo de reposición ante o Xurado Provincial de Clasificación de Montes Veciñais en Man Común de Lugo no prazo dun mes, ou ben directamente recurso contencioso-administrativo ante o Xulgado do Contencioso-Administrativo de Lugo no prazo de dous meses, de acordo co disposto nos artigos 123 e 124 da Lei 39/2015, do 1 de outubro, do procedemento administrativo común das administracións públicas, e co artigo 46 da Lei 29/1998, do 13 de xullo, da xurisdición contencioso-administrativa. O anterior, en relación co precepto legal recollido no artigo 12 da Lei de montes veciñais en man común e no artigo 28 do seu regulamento.
Lugo, 14 de xaneiro de 2021
María Olga Iglesias Fontal
Presidenta do Xurado Provincial de Clasificación de Montes
Veciñais en Man Común de Lugo
ANEXO I


