Denominação: área de rehabilitação integral de São Pablo.
Âmbito: grupo de habitações de São Pablo.
Classe: área de rehabilitação integral de âmbito urbano.
Antecedentes de facto
1. O 13 de fevereiro de 2021, a Câmara municipal de Vigo solicitou a declaração de área de rehabilitação integral (em diante ARI) do grupo de habitações de São Pablo, em Teis. Com a solicitude junta-se o certificado do acordo da Junta de Governo local, referido à sessão do Pleno de 11 de fevereiro de 2021, pelo que se adopta, entre outros, o seguinte acordo:
«Solicitar da Conselharia de Médio Ambiente, Território e Habitação da Xunta de Galicia a declaração de área de rehabilitação integral geral de São Pablo, em Vigo, segundo a delimitação que da supracitada área se estabelece nos planos incluídos na memória-programa, de acordo com a classificação prevista no artigo 9 do Decreto 18/2014».
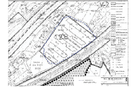
2. O âmbito compreende as habitações do grupo sindical São Pablo e encontra-se entre a auto-estrada A9 de entrada à cidade e a via do ferrocarril. A rua Robleda delimita pela parte sul com a via do ferrocarril Vigo-Pontevedra e a rua Coutadas pólo norte.
3. A declaração da ARI solicitada recebeu o relatório favorável, tanto desde o ponto de vista técnico e urbanístico como administrativo, das unidades competente do IGVS.
Considerações jurídicas e técnicas
1. A Lei 1/2019, de 22 de abril, de rehabilitação e de regeneração e renovação urbanas da Galiza, regula as ARI nos seus artigos 49 a 51. Concretamente, o artigo 50.1.c) define as ARI de âmbitos urbanos como aquelas cujo âmbito não pertença a nenhuma das categorias de ARI de conjuntos históricos nem rurais.
2. O Real decreto 106/2018, de 9 de março, pelo que se regula o Plano estatal de habitação 2018-2021, prevê o Programa de fomento da regeneração e renovação urbana e rural.
3. O Decreto 18/2014, de 13 de fevereiro, pelo que se determinam os aspectos básicos dos programas autonómicos de rehabilitação de habitações e se dão as directrizes para o desenvolvimento do Plano estatal de fomento do alugamento de habitações, a rehabilitação edificatoria e a regeneração e renovação urbanas 2013-2016, no âmbito da Comunidade Autónoma da Galiza, regula no seu capítulo II, secção 2ª, artigos 8 e 9, o procedimento de declaração e as classes de ARI, respectivamente.
No expediente para a declaração desta ARI recolhem-se todos os aspectos assinalados no artigo 8.2 do Decreto 18/2014, de 13 de fevereiro.
4. De conformidade com os artigos 49 da Lei 1/2019, de 22 de abril, e 8.1 do Decreto 18/2014, de 13 de fevereiro, as ARI serão declaradas mediante resolução da Presidência do IGVS, por solicitude das câmaras municipais interessadas.
Por todo o exposto e de conformidade com as competências atribuídas no artigo 49 da Lei 1/2019, de 22 de abril,
RESOLVO:
Declarar, ao amparo dos artigos 49 e 50 da Lei 1/2019, de 22 de abril, e do artigo 9 do Decreto 18/2014, de 13 de fevereiro, área de rehabilitação integral de âmbito urbano de São Pablo, no termo autárquico de Vigo, o âmbito delimitado nos planos que se juntam como anexo a esta resolução.
Santiago de Compostela, 2 de junho de 2021
Ángeles Vázquez Mejuto
Presidenta do Instituto Galego da Vivenda e Solo


